Изменения климата создали благоприятные условия для развития новых вредителей зеленых насаждений. Помимо традиционных вредителей, существует множество видов, которые могут поражать как фруктовые деревья, так и декоративные деревья. Очень часто можно видеть насекомых, уничтожающих листья, сообщила IPN старший инспектор Национального агентства по безопасности пищевых продуктов Лариса Мунтяну в контексте того, что в зеленых насаждениях столичного сектора Ботаника были замечены деревья, подвергшихся нападению вредителей.

Старший инспектор сказала, что насекомые, которые подают листья, происходят из отрядов Lepidoptera, Coleoptera, Hymenoptera и Orthoptera. Вред, нанесенный этими насекомыми, мало отличается. „Чтобы идентифицировать вредителей, мы должны регулярно исследовать дерево и контролировать спектр вредителей, населяющих дерево или плантацию, так мы можем помочь оценить потребности в защитных мерахˮ, - пояснила инспектор.
Могут быть замечены другие вредители, такие как насекомые отряда Hemiptera. Это опасный вредитель для плодовых деревьев, винограда, декоративных деревьев и кустарников (ива, тополь, липа, дуб). У этого насекомого тело зеленого цвета с небольшими пятнами. Оно приносит одно поколение в год и зимует в стадии яйца. Из яиц появляются личинки, ищущие растения, которыми они питаются. Ротовые органы этого насекомого колюще-сосущего типа и питается оно листьями большого количества растений. Рекомендуется применять инсектициды, согласно Государственному реестру, уточнила Лариса Мунтяну.
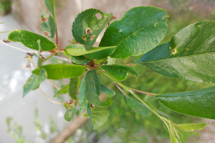
Stigmina carpophila это грибковый растительный патоген листьев на косточковых деревьях - еще одно заболевание которое часто встречается весной после теплой зимы. На листьях появляются светло-коричневые пятна диаметром 2-4 миллиметра, затем появляются некрозы, пятна опадают и листья выглядят как прострелянные. В данном случае специалисты рекомендуют обрезать сильно пораженные ветки и уничтожать их, а затем проводить обработку медным купоросом, согласно Государственному реестру.
Доступ к списку пестицидов можно получить на странице Государственного реестра. Не рекомендуется многократно обрабатывать растения одним и тем же препаратом, так как это может привести к образованию у вредителей иммунитета.
